


本项目主要为朝阳一路、新兴三路、新兴四路三条道路的改造。
建设地点为杭州湾经开区建成区。
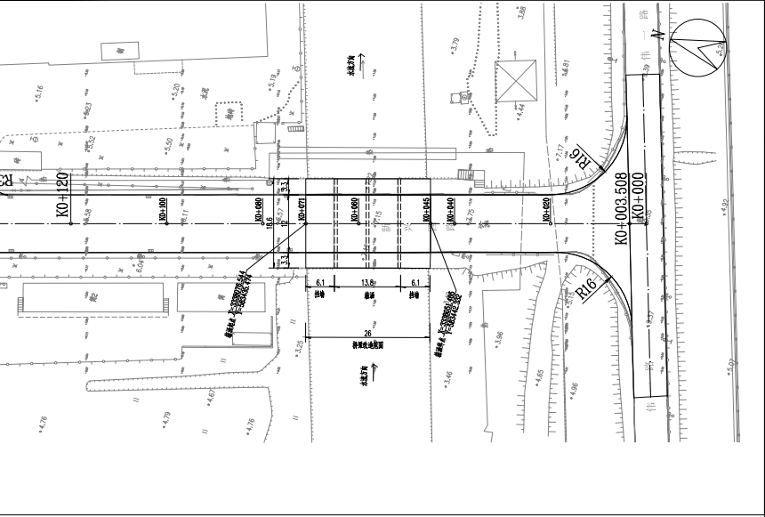
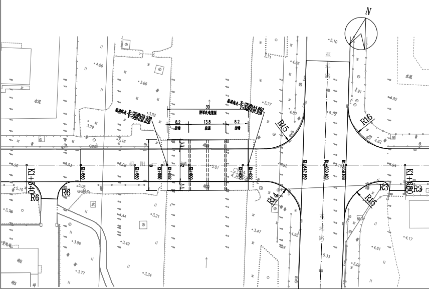
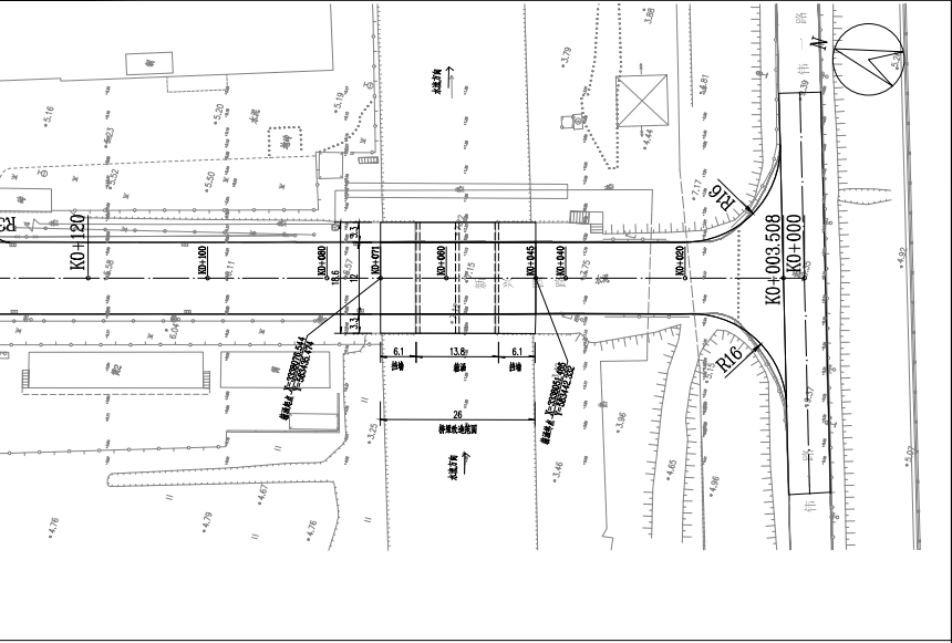
朝阳一路:西起东直塘路,东至东进河路,长约3240m,红线宽度12m;新兴三路:南起朝阳一路,北至振兴大道,长约392m,红线宽度8m。新兴四路:南起拓展路,北至振兴大道,长约817m,红线宽度12m。均为城市支路,双向2车道。

Case
发布时间: 2026-01-08 14:44:19浏览次数: 181



本项目主要为朝阳一路、新兴三路、新兴四路三条道路的改造。
建设地点为杭州湾经开区建成区。
朝阳一路:西起东直塘路,东至东进河路,长约3240m,红线宽度12m;新兴三路:南起朝阳一路,北至振兴大道,长约392m,红线宽度8m。新兴四路:南起拓展路,北至振兴大道,长约817m,红线宽度12m。均为城市支路,双向2车道。